National Park Service
×
Copyright Information:
NATIONAL REGISTER DIGITAL ASSETS
DOWNLOAD THIS PDF
DOWNLOAD THIS PDF
HIDE NATIONAL REGISTER ASSETS
Copyright
ASSET METADATA
Title:
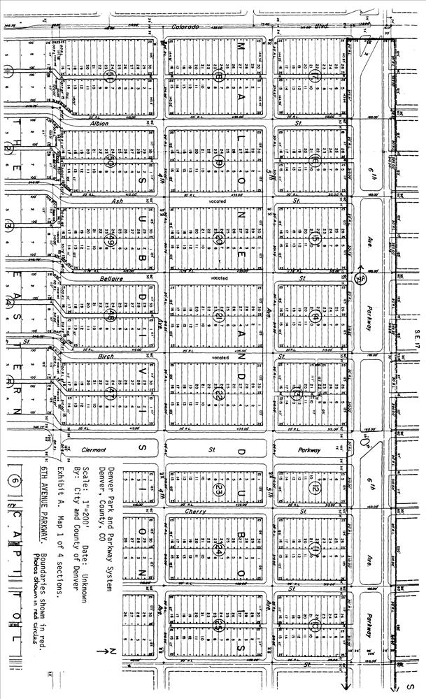
East Sixth Avenue Parkway
National Register Information System ID:
86002214
Multiple Listing:
Denver Park and Parkway System TR
Applicable Criteria:
EVENT
ARCHITECTURE/ENGINEERING
Architectural Styles:
NO STYLE LISTED
Architects:
Unknown
Areas Of Significance:
COMMUNITY PLANNING AND DEVELOPMENT
LANDSCAPE ARCHITECTURE
Periods Of Significance:
1900-1924
Significant Years:
1909
1912
Resource Type:
STRUCTURE
Keywords:
1909 ; 1912
Note:
E. Sixth Ave. Pkwy. from Colorado Blvd. to Quebec St.
Related Collections:
National Register of Historic Places Collection
Resource Format:
pdf
File Size (bytes):
414919
Date Published:
9/17/1986
Parks:
National Register of Historic Places
Locations:
State: Colorado
County: Denver County
Denver ; E. Sixth Ave. Pkwy. from Colorado Blvd. to Quebec St.
Rating:
Categories:
Historic
Asset ID:
e6e8eb2e-925d-4865-b2f4-1291a9cc2dde
Related Portals:
NPGallery Main Search
HIDE METADATA
Copyright