Select Item below to DOWNLOAD - Once item is selected, right click and choose 'save as'
912056c77ff14e68a8d0563fa58ebab9
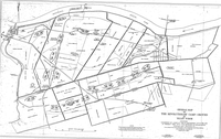
General Map of the Encampment at Valley Forge, Pennsylvania, 1777-8 Note: The Camp Defences and Roads are shown as marked on the contemporary French Map in the Library of Cornell University. Topography restored as nearly as possible to the old condition
Jacob Orie Clarke Collection, A Series: General Encampment, Valley Forge Park
MapId: 3 MapNo: A3 Material: Paper print. 1 drawing mounted on cardboard
U. S. National Park Service
3 drawings are in good condition.
Permission must be secured from the individual copyright owners to reproduce any copyrighted materials contained within this website.
Restrictions apply on use and/or reproduction
Image
Valley Forge National Historical Park, Code: VAFO
20150517
02/01/1904
H 21 1/8, W 34.0"
Public Can View
Person: Curator
Organization: US National Park Service
Address: Valley Forge National Historic Park, King of Prussia PA

Friday, September 29, 2017 12:29:03 PM
Friday, September 29, 2017 12:29:03 PM
VAFO 61083 A 03 Gen Map Encampment 1777-8.jpg
Monday, January 1, 0001 12:00:00 AM
jpg
11.0 MB
Historic
[Map of Encampment at Valley Forge]

[Map of Encampment at Valley Forge]

General Map of the Revolutionary Campground at Valley Forge, showing ownership of lands at the time of Encampment (1777-1778) and at present time, with the degences as far as shown.  Compiled from the records of Philadelphia, Montgomery, and Chester Counti

General Map of the Revolutionary Campground at Valley Forge, showing ownership of lands at the time of Encampment (1777-1778) and at present time, with the degences as far as shown. Compiled from the records of Philadelphia, Montgomery, and Chester Counti

Topographical Map of the Revolutionary Camp Ground at Valley Forge Pennsylvania,   Valley Forge Park is shown in dark green, shows property lines and ground fences, 1906 J.O. Clarke,   Engineer for the Commission

Topographical Map of the Revolutionary Camp Ground at Valley Forge Pennsylvania, Valley Forge Park is shown in dark green, shows property lines and ground fences, 1906 J.O. Clarke, Engineer for the Commission

Topographical Map of the Revolutionary Camp Ground at Valley Forge Pennsylvania 1906.  Color coded showing known encampment boundary lines, owners underlined, best evidence boundary lines, historic fence line as master reconstruction, and plowed fields

Topographical Map of the Revolutionary Camp Ground at Valley Forge Pennsylvania 1906. Color coded showing known encampment boundary lines, owners underlined, best evidence boundary lines, historic fence line as master reconstruction, and plowed fields

Valley Forge Park

Valley Forge Park

Valley Forge Park and Vicinity

Valley Forge Park and Vicinity

Valley Forge Park and Vicinity

Valley Forge Park and Vicinity

General Map of the Encampment at Valley Forge, Pennsylvania, 1777-8

General Map of the Encampment at Valley Forge, Pennsylvania, 1777-8

General Map of Valley Forge Park and Vicinity

General Map of Valley Forge Park and Vicinity

Sketch Map of Valley Forge Park and Vicinity

Sketch Map of Valley Forge Park and Vicinity

Sketch Map of Valley Forge Park and Vicinity

Sketch Map of Valley Forge Park and Vicinity

General Map of the Revolutionary Campground at Valley Forge

General Map of the Revolutionary Campground at Valley Forge

General Map of the Revolutionary Campground at Valley Forge

General Map of the Revolutionary Campground at Valley Forge

Development Study for the Revolutionary Camp Ground at Valley Forge

Development Study for the Revolutionary Camp Ground at Valley Forge

Sketch Map of Valley Forge, 1893

Sketch Map of Valley Forge, 1893

Sketch Map of Valley Forge, 1893

Sketch Map of Valley Forge, 1893

Sketch Map of Valley Forge, 1777-8

Sketch Map of Valley Forge, 1777-8

Sketch Map of Valley Forge, 1777-8

Sketch Map of Valley Forge, 1777-8

[Portion of Duportail Map]

[Portion of Duportail Map]

Valley Forge 1777-8 and Valley Forge 1921 [2 Maps]

Valley Forge 1777-8 and Valley Forge 1921 [2 Maps]

[Valley Creek Portion of Duportail Map]

[Valley Creek Portion of Duportail Map]

General Map of the Extension of Valley Forge Park along the Exterior Line of Defences Showing the Land to be Acquired

General Map of the Extension of Valley Forge Park along the Exterior Line of Defences Showing the Land to be Acquired

To Agree with Outer Line [illeg]

To Agree with Outer Line [illeg]

Valley Forge Property Map, 1777-8

Valley Forge Property Map, 1777-8

Sketch Map of Part of Valley Forge Park in Chester County, Pennsylvania

Sketch Map of Part of Valley Forge Park in Chester County, Pennsylvania

Campaign around Philadelphia

Campaign around Philadelphia