National Park Service
×
Copyright Information:
NATIONAL REGISTER DIGITAL ASSETS
DOWNLOAD THIS PDF
DOWNLOAD THIS PDF
HIDE NATIONAL REGISTER ASSETS
Copyright
ASSET METADATA
Title:
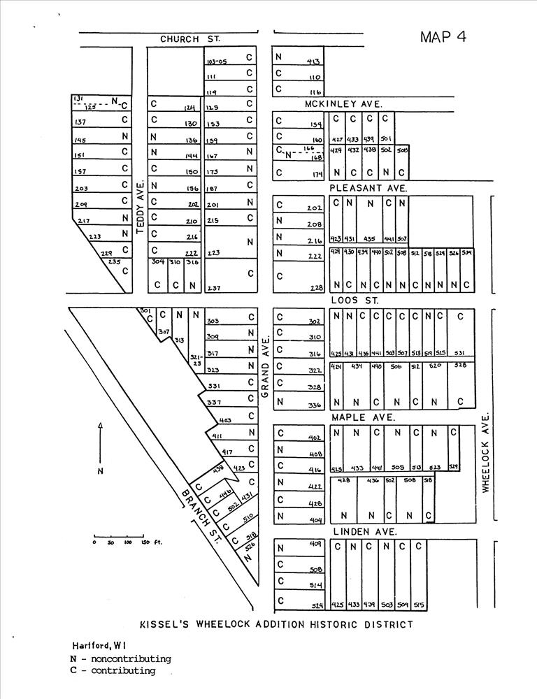
Kissel's Wheelock Addition Historic District
National Register Information System ID:
88002072
Multiple Listing:
Kissel, Louis, & Sons of Hartford TR
Applicable Criteria:
EVENT
Architectural Styles:
OTHER
Architects:
Unknown
Areas Of Significance:
COMMUNITY PLANNING AND DEVELOPMENT
Periods Of Significance:
1900-1924
Resource Type:
DISTRICT
Note:
Roughly bounded by Church St., Wheelock and Linden Aves., Branch St., and Teddy Ave.
Related Collections:
National Register of Historic Places Collection
Resource Format:
pdf
File Size (bytes):
3961922
Date Published:
11/3/1988
Parks:
National Register of Historic Places
Locations:
State: Wisconsin
County: Washington County
Hartford ; Roughly bounded by Church St., Wheelock and Linden Aves., Branch St., and Teddy Ave.
Rating:
Categories:
Historic
Asset ID:
9fe54070-102c-4f9b-b5c5-f8358f7290b1
Related Portals:
NPGallery Main Search
HIDE METADATA
Copyright