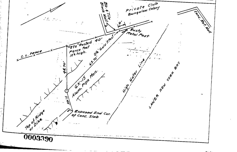
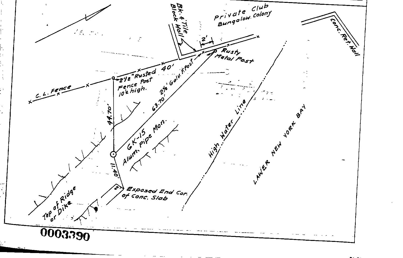
00003390 Survey Monumentation Sketch
Select Item below to DOWNLOAD - Once item is selected, right click and choose 'save as'
e7e5eb32-1bb6-4bdb-a81f-9028465cfb79
00003390 Survey Monumentation Sketch
00003390 Survey Monumentation Sketch
Sketch map of survey monument and immediate area.
U. S. National Park Service
This digital asset is in the public domain. When using this asset for any purpose, including online, credit: 'U.S. National Park Service, Land Resources Division'.
NPS / Tim Smith
Public domain
Image
NPS-wide, Code: NPS
MONUMENTID for Monuments : 00003390
2015/08/20
Public Can View
Organization: Land Resources Division
Position: Program Coordinator
Address: 1849 C Street, NW, Suite 2340, Main Interior Building, Washington, DC 20240

Wednesday, September 25, 2024 4:18:33 PM
Wednesday, September 25, 2024 4:18:33 PM
00003390.gif
gif
27.0 kB
Monitoring , Inventory , Map