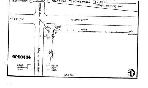
00000404 Survey Monumentation Sketch
Select Item below to DOWNLOAD - Once item is selected, right click and choose 'save as'
e1af6699-8f4d-4590-8e1c-63b14b686b0e
00000404 Survey Monumentation Sketch
00000404 Survey Monumentation Sketch
Monument sketch from 1990's DSC survey monumentation database.
U. S. National Park Service
This digital asset is in the public domain. When using this asset for any purpose, including online, credit: 'U.S. National Park Service, Land Resources Division'.
NPS / Tim Smith
Public domain
Image
NPS-wide, Code: NPS
MONUMENTID for Monuments : 00000404
2020/06/08
Public Can View
Organization: Land Resources Division
Position: Program Coordinator
Address: 1849 C Street, NW, Suite 2340, Main Interior Building, Washington, DC 20240

Monday, September 23, 2024 6:16:31 PM
Monday, September 23, 2024 6:16:31 PM
00000404.gif
gif
23.6 kB
Monitoring , Inventory , Map
ALBUMS IN WHICH THIS ASSET APPEARS