Pinned insect
Select Item below to DOWNLOAD - Once item is selected, right click and choose 'save as'
6545cc70-6080-42e9-b79c-004e4a9b39a3
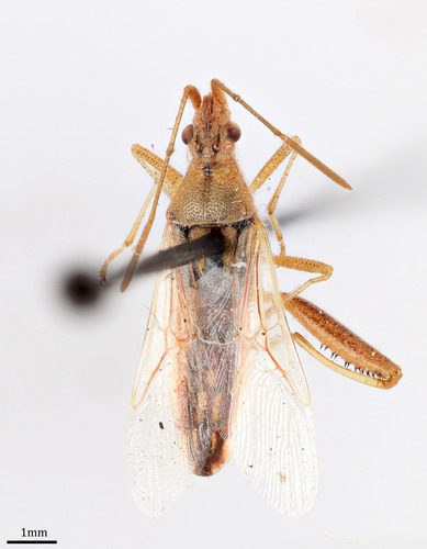
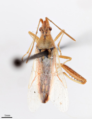
Ithamar hawaiiensis
Pinned insect
Ithamar hawaiiensis / HALE 3812 / Collector: H. O. Sweezy / Collection Date: 8/17/1929
Permission must be secured from the individual copyright owners to reproduce any copyrighted materials contained within this website. Digital assets without any copyright restrictions are public domain.
NPS Photo
Public domain:Full Granting Rights
Image
Haleakala National Park, Code: HALE
Haleakala National Park, Maui County, Hawaii
Latitude: 20.7073001861572, Longitude: -156.149002075195

02/03/2025
01/01/0001
Public Can View
Wednesday, March 5, 2025 1:41:15 AM
Wednesday, March 5, 2025 1:45:20 AM
Ithamar_hawaiiensis_3812-97.jpg
Monday, January 1, 0001 12:00:00 AM
jpg
4.4 MB
Scenic
ALBUMS IN WHICH THIS ASSET APPEARS