MONO H 92003 MONO 00000416 gif
Select Item below to DOWNLOAD - Once item is selected, right click and choose 'save as'
188563c8-74df-446c-a6a4-981971d02f7d
MONO H 92003 MONO 00000416 gif
MONO H 92003 MONO 00000416 gif
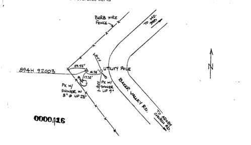
Survey monument record sheet, Sketch number: 00000416
U. S. National Park Service
This digital asset is in the public domain. When using this asset for any purpose, including online, credit: 'U.S. National Park Service, Land Resources Division'.
Public domain
Image
Monocacy National Battlefield, Code: MONO
Monocacy National Battlefield, Frederick County, Maryland
Latitude: 39.3577003479004, Longitude: -77.4024963378906

MONUMENTID for Monuments : MONO H 92003
2024/11/15
01/01/1992
AE
Public Can View
Organization: Land Resources Division
Position: Program Coordinator
Address: 1849 C Street, NW, Suite 2340, Main Interior Building, Washington, DC 20240

Thursday, December 5, 2024 6:00:35 PM
Thursday, December 5, 2024 6:00:35 PM
MONO_00000416.gif
gif
16.8 kB
Monitoring , Inventory , Map