Select Item below to DOWNLOAD - Once item is selected, right click and choose 'save as'
d6e23199-2c02-46c7-9cd2-800c33d35723
Photos taken in the aftermath of April 10, 2009, tornado at Stones River National Battlefield
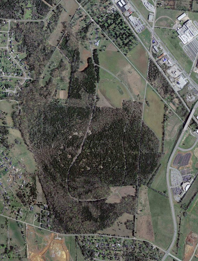
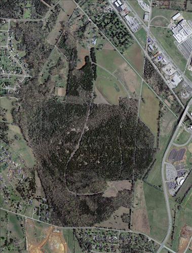
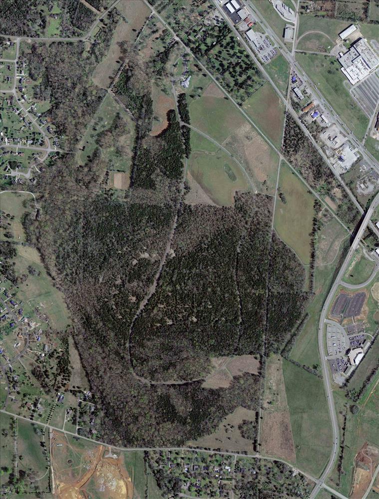
A Category EF-4 tornado struck Rutherford County, TN on April 10, 2009. The tornado passed through the heart of the Nashville Pike Unit of Stones River National Battlefield, leaving a quarter-mile swath of fallen and damaged trees stretching for approximately one mile across the battlefield. Sixty acres of trees were uprooted, twisted, and broken. The Tour Road, trails and tour stops were closed for safety for several weeks.
aerial of tornado's path through STRI Nashville Pike Unit, April 10, 2009
Permission must be secured from the individual copyright owners to reproduce any copyrighted materials contained within this website. Digital assets without any copyright restrictions are public domain.
Public domain
Image
Stones River National Battlefield, Code: STRI
Stones River National Battlefield, Rutherford County, Tennessee
Latitude: 35.8731994628906, Longitude: -86.4340972900391

PMIS (Project Management Information System) : 154911
FMSS (Workorder) : 1710275
Legacy NPS Focus Record ID : 247862
04/10/2009 - 04/28/2009
Public Can View
STRI
Terri Hogan
Thursday, May 28, 2009 4:21:15 PM
Thursday, August 10, 2017 10:14:20 AM
STRI-62b06f7295b34bd79bc1ae0cc50b5aaa.jpg
Wednesday, April 15, 2009 6:59:56 PM
jpg
746.8 kB
Budget