INDU PB-301 INDU 00002832 gif
Select Item below to DOWNLOAD - Once item is selected, right click and choose 'save as'
38618984-8130-496d-971d-e1388599c317
INDU PB-301 INDU 00002832 gif
INDU PB-301 INDU 00002832 gif
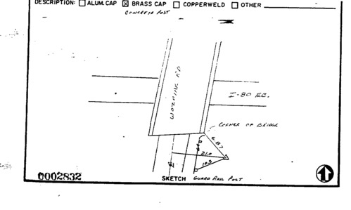
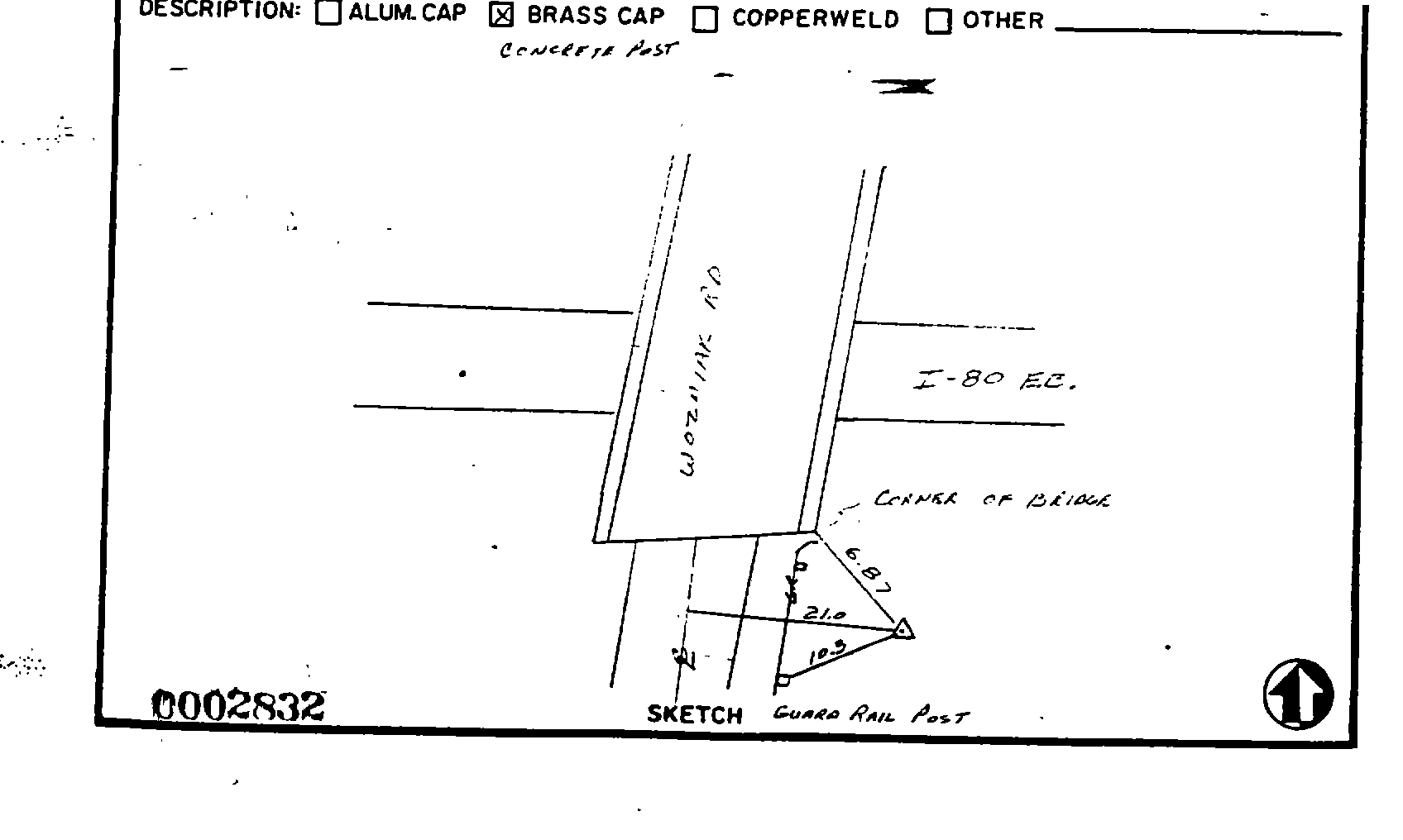
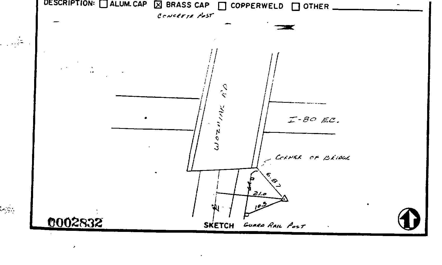
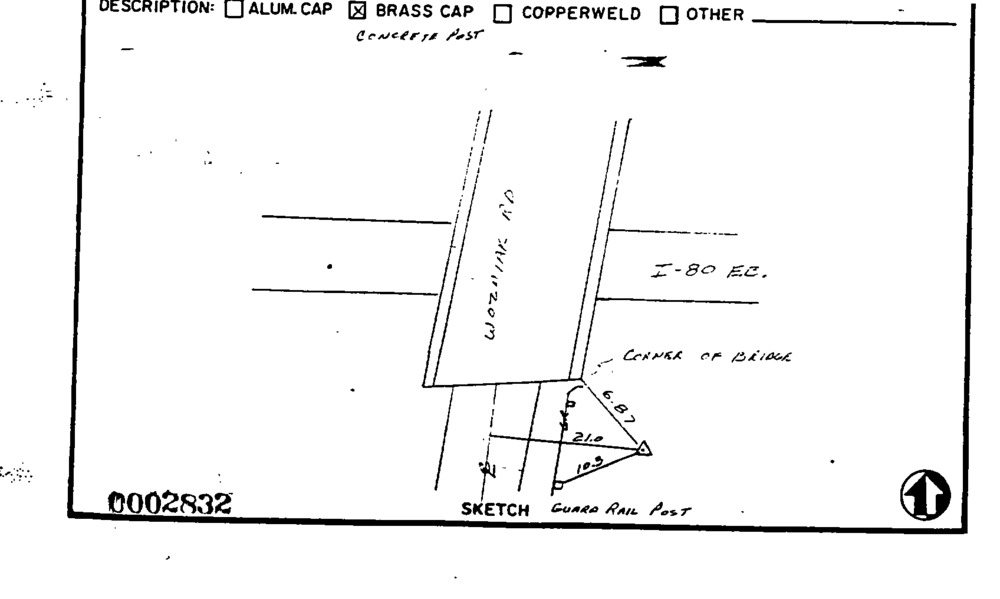
Survey monument record sheet, Sketch number: 00002832
U. S. National Park Service
This digital asset is in the public domain. When using this asset for any purpose, including online, credit: 'U.S. National Park Service, Land Resources Division'.
Public domain
Image
Indiana Dunes National Park, Code: INDU
Indiana Dunes National Park, Indiana
Latitude: 41.656120300293, Longitude: -87.0431137084961

MONUMENTID for Monuments : INDU PB-301
2024/11/15
01/01/1984
AE
Public Can View
Organization: Land Resources Division
Position: Program Coordinator
Address: 1849 C Street, NW, Suite 2340, Main Interior Building, Washington, DC 20240

Thursday, December 5, 2024 6:08:37 PM
Thursday, December 5, 2024 6:08:37 PM
INDU_00002832.gif
gif
19.8 kB
Monitoring , Inventory , Map