Select Item below to DOWNLOAD - Once item is selected, right click and choose 'save as'
07bd80f0-138c-4256-9aff-6b47a1cf24b2
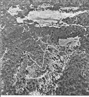
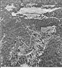
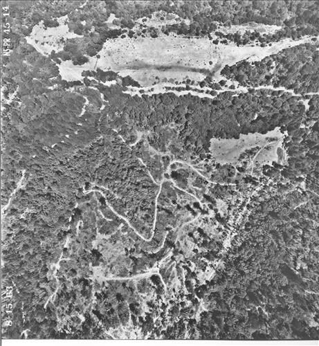
Point Reyes National Seashore Aerial Survey, 1963 Part 3 of 4
1963 Aerial Survey of Olema Valley in Point Reyes National Seashore. Scale 1:4800. Images 31-45 in complete set of 57.
Georectified and georeferences data available for these images from park GIS coordinator. Original 9 x 9 prints held in Point Reyes Museum Collection.
Permission must be secured from the individual copyright owners to reproduce any copyrighted materials contained within this website. Digital assets without any copyright restrictions are public domain.
Public domain
Image
Point Reyes National Seashore, Code: PORE
Point Reyes National Seashore- Flight line starts in Bolinas and goes north up the Olema Valley, Point Reyes National Seashore, Marin County, California
Latitude: 38.0550003051758, Longitude: -122.879997253418

PMIS (Project Management Information System) : 132444
Legacy NPS Focus Record ID : 442929
09/24/1963
Public Can View
Fairchild Aerial Survey Contractor for NPS Survey
Carola DeRooy
Tuesday, October 19, 2010 4:05:16 PM
Wednesday, August 9, 2017 11:40:05 AM
PORE-60237526de4d412e81e018e737785a3a.jpg
Monday, January 1, 0001 12:00:00 AM
jpg
4.4 MB
Budget